Update: What’s Happening With the Former Agway Site in Raritan

Image

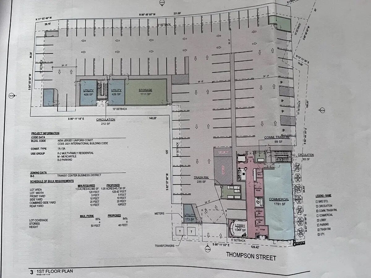
The future of the former Agway Garden Center on Thompson Street continues to be a major topic of discussion in Raritan, as both borough officials and residents consider what kind of redevelopment is appropriate for the long-vacant property.

The Agway site, which closed in 2023, has been under study for potential redevelopment due to its deteriorated condition and its key location near the NJ Transit station. Over the past year, various conceptual plans have circulated, including one proposal for a four-story building with approximately 75 apartments. While this idea drew interest from some who saw an opportunity to clean up the site and add new housing, others raised concerns about density, traffic, and whether such a project fits the borough's character.

At the most recent Borough Council meeting, officials introduced an ordinance tied to the redevelopment plan for the property. This step signaled continued consideration of how the site might be reused. However, shortly afterward, the Borough Council voted to reject the latest redevelopment proposal. That plan, which included a large residential component next to the train station, will not move forward in its current form.

Residents following the issue on social media remain divided. Some want revitalization and see the Agway parcel as a chance for new investment. Others prefer a scaled-down project that preserves Raritan’s small-town feel and avoids additional strain on local infrastructure.

For now, the Agway property remains in limbo as officials revisit options. The discussion is expected to continue in the coming months, and Raritan Neighbors will keep readers updated as new information becomes available.

Recent public reactions & remarks ( Pulled from social media)

  • On Reddit (in a thread titled “Raritan fire”), one user recalled a past incident at the old Agway yard:

    “Dump truck raising its bed at the old Agway yard behind the train station hit the 3 overhead power lines, resulting in setting the mulch and the truck on fire.” Reddit+1
    Another added:
    “Between this and the earthquake, it’s been fun meeting the neighbors lol.” Reddit

  • On the local news comment section under the recent council meeting update about the redevelopment plan, one reaction said:

    “I disagree with this.” Raritan Neighbors+1

  • A separate user on the same thread flagged the post about the redevelopment as “unverified,” an indication of skepticism or calls for more transparency. Raritan Neighbors

  • From local reporting about the conceptual 75-unit redevelopment proposal: one local official — Adam S. Armahizer — publicly opposed the plan, saying:

    From public-records: minutes of a special meeting in June 2025 indicate that the site has been officially designated as an “Area in Need of Redevelopment,” triggering further study and negotiations between the borough and a developer. Raritan Borough+1

More News from Raritan
I'm interested
I disagree with this
This is unverified
Spam
Offensive